広島市西区己斐中3丁目 土地
- 物件価格
- 2,680万円
- 所在地
- 広島市西区己斐中3丁目
- 交通
- –
- 最寄バス停
- 「ふじハイツ第二公園」 徒歩2分
- 学校区
- 己斐東小 / 己斐中
※学校区は住所から自動判定したものであり、保証できる情報ではございません。正確な学校区はお問い合わせ下さい。
- 物件更新日:
- 2025年10月13日
- 写真入れ替え日:
- 2025年10月13日
セールスポイント
【西区己斐中3丁目 売土地】
緑豊かな閑静な住宅街♪
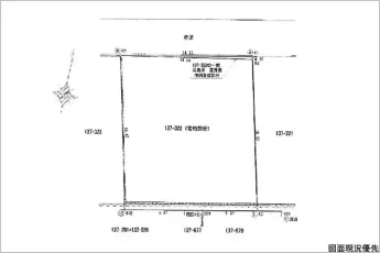
約70.89坪(約234.35㎡)広い土地☆
前面道路は北約4m!
小学校は徒歩圏内♪
公園も近くのびのびと子育てができる環境♪
最寄りのバス停まで徒歩2分で便利‼
≪資料請求できます♪お問い合わせください♪≫
~周辺環境~
・ファミリーマート 己斐中一丁目店:徒歩9分(約650m)
・ゆめマート己斐:徒歩17分(約1200m)
・ウォンツ 己斐駅前店:徒歩16分(約1100m)
・さくら保育所:徒歩4分(約300m)
・広島市立己斐東小学校:徒歩12分(約650m)
・広島市立己斐中学校:徒歩27分(約1600m)
・己斐中第二公園:徒歩3分(約220m)
《広島市西区エリアの売土地、不動産情報は「住むりえ」にお任せください♪》
*****
◇住まいのことなら≪住むりえ≫に何でもお気軽にご相談ください♪♪
◇お客様のニーズに最適な一戸建て、マンション、土地などの不動産情報をご提供致します!!
◇注文住宅をご検討の方やリノベーション、売却をお考えの方もお気軽にご相談ください♪♪
「人型アイコン」を地図上にドラッグすることで『Google Street View』に切り替わります。
※地図上の「対象地」は「日本、〒733-0813 広島県広島市西区己斐中3丁目8−20」の場所を指しています。実際の場所ではない場合がございます。詳しくはお問い合わせください。
物件概要
| 種目 | 売地 | ||
|---|---|---|---|
| 土地面積 | 234.35㎡ | 私道面積 | |
| 建ぺい率/容積率 | 50%/100% | 都市計画 | 市街化区域 |
| 接道状況 | 北4m 公道 一方道路 | ||
| 地目 | 宅地 | ||
| 土地権利 | 所有権 | 地勢 | |
| 用途地域 | 第一種低層住居専用地域 | ||
| 現況 | 更地 | 取引態様 | 媒介 |
取引条件等
| 引渡し | 相談 |
|---|
その他
| 条件等 | |||
|---|---|---|---|
| 設備 | 都市ガス、地番:137-134(公衆用道路)45㎡(約13.61坪)2,820/61,598持分有 | ||
| 諸条件・相談 | 地積測量図作成済、公簿売買、現況有姿 ☆お客様のニーズに最適な一戸建て、マンション、土地などの不動産情報をご提供致します! | ||
| 情報登録日 | 2025年9月29日 | 情報更新予定日 | 2026年5月6日 |
| 物件番号 | 135315 | ||