広島市南区宇品神田5丁目 土地
- 物件価格
- 7,900万円(↓8.1%値下がり)
- 所在地
- 広島市南区宇品神田5丁目
- 交通
- 広電「宇品五丁目」 徒歩2分
- 最寄バス停
- –
- 学校区
- 宇品東小 / 宇品中
※学校区は住所から自動判定したものであり、保証できる情報ではございません。正確な学校区はお問い合わせ下さい。
- 物件更新日:
- 2026年04月01日
- 価格改定日:
- 2026年03月31日
セールスポイント
【南区宇品神田5丁目 売土地】
生活施設が整った便利な宇品エリア♪
建築条件はありませんのでお好きな建築会社・工務店・ハウスメーカーで建築可能♪♪
◇約59.29坪(約196㎡)ゆとりの敷地☆
◇角地につき開放的!日当り良好♪
◇電車通り沿い。平坦地で移動もラクラク♪
◇広島市中心部へもアクセス良好♪
◇子育て世代にもピッタリ♪
≪資料請求できます♪お問い合わせください♪≫
~周辺環境~
・セブン-イレブン 広島宇品御幸店:徒歩2分(約150m)
・DCM宇品店:徒歩2分(約150m)
・ディオ宇品店:徒歩3分(約220m)
・ゆめタウンみゆき:徒歩14分(約950m)
・うじな保育園:徒歩7分(約500m)
・広島市立宇品小学校:徒歩8分(約550m)
・広島市立宇品中学校:徒歩20分(約1400m)
《広島市南区エリアの売土地、不動産情報は「住むりえ」にお任せください》
*****
◇住まいのことなら≪住むりえ≫に何でもお気軽にご相談ください♪♪
◇お客様のニーズに最適な一戸建て、マンション、土地などの不動産情報をご提供致します!!
◇注文住宅をご検討の方やリノベーション、売却をお考えの方もお気軽にご相談ください♪♪
「人型アイコン」を地図上にドラッグすることで『Google Street View』に切り替わります。
※地図上の「対象地」は「日本、〒734-0004 広島県広島市南区宇品神田5丁目26−20」の場所を指しています。実際の場所ではない場合がございます。詳しくはお問い合わせください。
物件概要
| 種目 | 売地 | ||
|---|---|---|---|
| 土地面積 | 196㎡ | 私道面積 | |
| 建ぺい率/容積率 | 80%/400% | 都市計画 | 市街化区域 |
| 接道状況 | 北 公道 西 公道 角地 | ||
| 地目 | 雑種地 | ||
| 土地権利 | 所有権 | 地勢 | 平坦 |
| 用途地域 | 商業地域 | ||
| 現況 | 上物有 | 取引態様 | 媒介 |
取引条件等
| 引渡し | 相談 |
|---|
その他
| 条件等 | |||
|---|---|---|---|
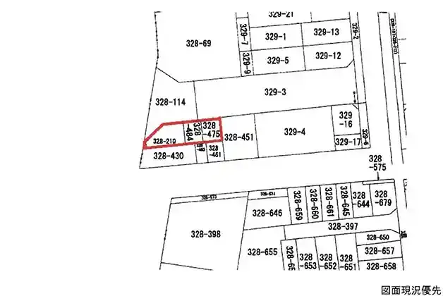
| 設備 | 西側道路に都市計画道路が計画決定されています、地番:328-210、328-484、328-475 | ||
| 諸条件・相談 | 現状有姿渡し(古家付:店舗賃貸中 令和8年4月末退去予定) ☆お客様のニーズに最適な一戸建て、マンション、土地などの不動産情報をご提供致します! | ||
| 情報登録日 | 2026年2月20日 | 情報更新予定日 | 2026年4月22日 |
| 物件番号 | 139601 | ||